Bunaken, a paradise for underwater photographers!
Bunaken island is considered to be a top-notch diving destination and among the highlights of scuba diving in Indonesia. More specifically, the Bunaken-Manado Tua National Marine Park is in the northern end of Sulawesi in the Indo Pacific region and can be reached from Manado, on a private/public boat.
Diving in Bunaken
On our second day in Bunaken, we started diving first thing in the morning! We couldn’t wait!!!! There are plenty of dive sites around the island of Bunaken but also an excellent house reef. We managed to dive at the following:

• Mikes point
Is a wall with lots of biodiversity, in the shape of an amphitheatre, covered with several gorgonians, black coral. The current can be very strong and if lucky you can see silver tips sharks, we didn’t get to see them 😦 . But we saw eagle rays, a lobster, tiny bubble coral shrimps and plenty of reef fish.
- Lekuan II
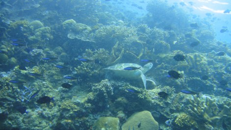
A long reef wall exactly in front of Bunaken island with amazing variety of reef fish and covered with different types of hard and soft coral. The current was very strong, were ‘flying’ underwater! Lekuan II has plenty of marine life for divers and it is a paradise for macro photographers; some things worth mentioning that we got to see were green turtles, scorpion fish, Napoleon Wrasse and a moray eel.
- Rons point
A deep sandy area with pelagic inhabitants such as Tuna, Jacks, Barracudas, parrot fish, Napoleon, humphead parrotfish. We were told that White tip reef sharks and even Gray reef sharks visit this dive site but we were not lucky to see any. The reef is covered by beautiful coral, in shallow water, were we got to see a hippocampus pontohi as well as several anemone with clown fish inside.
- House reef Timur I
One of the best sites in Bunaken in our opinion as there was perfect visibility, crystal clear water and perfect lighting in the morning when the sun illuminates the wall. A rich in hard coral and reef fish steep wall with a great variety of things to see; we got to see pygmy seahorse, small barracuda, pipe fish, humphead parrot fish, nude branches and at the top of the reef MANY colorful schools of reef fish that made it magical.
- Raymonds point
A great drift dive! Where you can get to see big pelagic fishes, as the currents are very strong; as well as beautiful coral and lots of sponges. In fact it is the richest dive site in Wire corals. Here we got to see an eel, turtles, parrot fish and plenty of marine life and reef fish.
- Mandolin
A dive site whose name comes from a musical instrument because of the harmony this dive site has. It is a deep beautiful wall, again with strong currents. Many schools of fish, a lobster, pipe fish, puffer fish and many species of nude branches live here. There are also many table corals, sea fans and especially the top of the reef is a paradise for photographers, you won’t want the safety stop to end!
If you don’t have the opportunity to go to Lembeh strait, a muck diving paradise, you might as well try the Manado bay. We went on one dive to Manado for a muck dive at Aba and were really amazed by the sea creatures we saw. Sea horse, frog fish, sting rays, pipe fish, cattle fish, eel-snake, prawns, orangutan crab, moray , lion fish are only a few mentions from what we got to see. Manado, on the coast of the mainland, also has a World War II ship wreck for wreck lovers.
Tips/Recommendations
- Choose Living Colours for a perfect diving experience in Bunaken (http://www.livingcoloursdiving.com/en)
- Living Colours allocates a personal dive guide for you (your group/family) for all your dives which we found excellent as they were really experienced, knew the dives sites perfectly well and helped you with everything you might need! Cheers to Nelwan for all his help and for showing me a small pygmy seahorse!
- Dive Equipment at Living colours are all latest models, including Suunto, Apeks, Mares
- If you are lazy setting up your equipment and washing it off in Living Colours you don’t have to worry about anything other than diving! They prepare everything for you and wash your equipment at the end of the day.












































Love all the photos of the underwater world! Magical
🙂 🙂 thank you! glad you liked it!!!!
OMG! That is just awesome! How beautiful is our ocean! I have never scuba-dived.Too scared of feeling claustrophobic! *laughing* your sooo brave and adventurous! Thanks for sharing your world.*smiley face* ……Have a great day! ….Paula x
happy you liked it Paula 🙂 yes the the underwater world is Magical!!!! have a lovely weekend!