Universal Divers
In the perhentians I stayed at the Tuna Bay island resort a great resort! (another post all about it will be posted soon). They had a dive centre, which I had read all about, Universal divers (http://www.universaldiver.net) right next to the resort which was excellent! Great people and a very professionally ran center.
The perhentian island or pulau perhentian is offshore the coast of northeastern Malaysia. And its name means “stopping point” as it used to be a stop point for travelers and traders travelling between Malaysia and Bangkok. There are two main islands Pulau Perhentian Besar, where I stayed, and Pulau Perhentian Kecil which attracts more backpackers.
Diving in the Perhentians was excellent with plenty of coral, fish, turtles and sharks, I had the chance to dive at:
Batu Layar (sail rock)
A shallow reef with lots of beautiful coral and massive table corals
Tokong Laut
A pinnacle reef
Sugar ship wreck
A popular dive site, this is a 3500 ton sugar carrier
Sea bell
This site takes its name from the nearby lighthouse, which in the past was a big bell that warned boats of shallow rocks in the area.
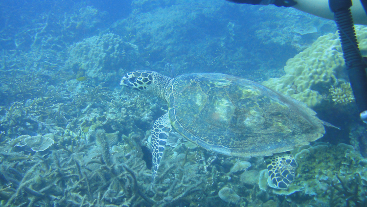
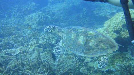
Turtle beach
A lagoon with many turtles!!!
Shark point
A very popular dive and snorkeling site with loads of coral and a great site to see black tip reef sharks. was very lucky to see a baby shark family sleeping.
Tangung Basi
A multi coloured coral garden that extends from a rocky headland, gently sloping down to 22m. North of the big island, this site is great for afternoon dives, and is also suitable for snorkellers.
Big thanks to Alirosli Othman who was an expert in the area, an excellent underwater photographer and had a great eye to show me everything.
Tips/Recommendations
- Book early for Tuna bay island resort
- Do have all sorts of Medicines with you as you can only find a doctor at Kecil the opposite island
- Time to visit june to late october
- universal divers website: http://www.universaldiver.net









































































Τελεια! Τι μου θυμισες!!!